Green Grove Township
MapsClark County, Wisconsin

Map Showing all of the County Townships
Transcription showing Owner Transitions
Surveying Clark County (1842-1856)
TOWNSHIP: Green Grove Forest, Clark County, Wisconsin
PUBLICATIONS:
Clark County, WI Internet Library Map Collection
County Map (shows all the townships)
1880 Green Grove Plat Map *In 1880, Green Grove was the west half of Colby Township.
1893 Green Grove Plat Map--by C. S. Stockwell; Neillsville, WI (Contributed by Alice Braun). **transcriber needed.
1905-06 Plat Map [North] [South]; 1905-06 Green Grove Plat Map Transcription; contributed by Helen Vater Blaha.1905 Map--by George. A. Ogle & Co., Chicago, IL (Contributed by Greenwood Public Library).
1915 Green Grove Plat Map Transcription; contributed by Helen Vater Blaha; 1915 Green Grove Plat Map--a very rare map contributed by the Thorp Area Historical Society.
1920 Green Grove Plat Map; origin unknown.
1920ish Green Grove Plat Map; origin unknown.
1926 Green Grove Twp. Property Owners; contributed by Helen Vater Blaha; 1926 Green Grove Plat Map--Standard Map Co., Chicago, IL (Contributed by Paulette Strey).
***Maps after 1926 Can't be displayed because of Copyright restrictions.
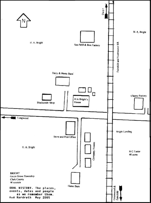
Bright Hand Drawn Map--Created by Halbert “Bud” Hardrath.
1934 Hand Drawn Map--Created by Halbert “Bud” Hardrath.
1938 Green Grove Plat Map Transcription
--Standard Map Co, Chicago, IL *Can't be displayed because of Copyright restrictions and the date of this map is uncertain but it has been determined to be after 1936, but before 1940. (Contributed by Helen Vater Blaha).Mid to late 1940's--Transcribed by Robert Lipprandt. *Note: The majority of the below mentioned land owners are listed by their first initials only. Very few have the full given names listed.
Surname spellings are not guaranteed to be correct.1956 Green Grove Plat Map Transcription, contributed by Helen Vater Blaha
1956 Green Grove Township Property Owners--by Rockford Map Publishers *The actual map can't be displayed because of Copyright restrictions.1960 Hand Drawn Map--Created by Herman Hardrath, Jr. and contributed by Halbert “Bud” Hardrath.
*1964 Green Grove Township Property Owners--by Rockford Map Publishers (Contributed by Alice Braun)
1973 Green Grove Plat Map Transcription, contributed by Helen Vater Blaha. GREEN GROVE T. 28N. - R. 1 W; ATLAS & PLAT BOOK of CLARK COUNTY, WISCONSIN, 1973, published by Rockford Map Pulbishers, Inc. 4525 Forest View Ave. Rockford, Illinois 61108.
1981 Green Grove Plat Map Transcription, contributed by Helen Vater Blaha. GREEN GROVE T. 28N. - R. 1 W; ATLAS & PLAT BOOK of CLARK COUNTY, WISCONSIN, 1981, published by Rockford Map Pulbishers, Inc. 4525 Forest View Ave. Rockford, Illinois 61108.
1986 Green Grove Plat Map Transcription, contributed by Helen Vater Blaha. Transcribed from HISTORICAL ATLAS CLARK COUNTY WISCONSIN compiled and published in 1986 by Agri-Land Atlas Co., P. O. Box 5787, Rochester, MN 55903
1994 Green Grove Plat Map Transcription, 13th edition, published by Rockford Map Publishers, 4525 Forest View Avenue, P. O. Box 6126, Rockford, Illinois 61125, contributed by Helen Vater Blaha.
**Note: If your relative is listed in a particular section for a specific year, you can view that vicinity on the 1893 map. These sections locations have not changed since the township was first platted.
TRANSITION OF PROPERTY OWNERS:
Section 1
1905--Otto Janke, John Janke, H. Wachsmuth, Wm. Neuman, Alb. Pribbernow, Art Neuman, C. Foeks, Rich Kateman, J. Karson, J. Mahlstedt (?), Jack Narka (?)
1915--(Upper right corner of map missing), W. Wendt, R Kateman, Otto Janke, H. Nehau (?), , E. & C. Wachsmuth, Chas. Fuekes (Fakes?), A. Pribbernow, A. Toun (?)
1926--Jno. Steinfort, Wallace Healy, Art Tonn, Mrs. C. Pribbenow, O. M. Todd, Mrs. Selma Fakes, Oscar J. Kateman, Wm. Aldinger
1938--A. F., Cleveland State Bank, Art Tonn, Theodore Frane, Chas. Fakes, est., Lena Ebert, Oscar Katemann, A. C., A. L. Smart, T. M. Todd, Carolina Pribbenow
Mid to late 1940's--Aschbrock, H. & E., Frane, T., Katemann, O., Koffernus, H. & P., Krause, S. & E., Krause, S., Utke, L. & N., Wittlinger, H., 2 unreadable, possibly C. & A. P. and J. P.
1956--Solomon & Emma Krause, LeRoy Utke, E.R., Oscar Kademan, Llloyd Haemer, Chas. Latz, Hubert & Pearl Koffarnus, Theo. Frane
1973-- Solomon & Emma Krause, Hubert & Pearl Kaffarnus, Lyoyd & Emma Haemer, David & Orine Kademan, H & M Kademan
1981--Neil & Janet Krause, Hubert & Pearl Koffarnus, Isaac & Mabel Martin, C. & B. Peissig, D. & O. Kademan, Chester Przybylski, H.& M. Kademan, D. K. (David Kademan), SM. TRS. (Todd Scidmore, Robert Scidmore, Rodney & Inge Hawks, Wilford & L. Marcott, Arlen Utke, Bev Utke, Hal Utke)
1986--Neil & Janet Krause, Hubert & Pearl Koffarnus, David Kademan, Clyde & Beverly Peissig, John & Kelly Fritz, Raymond & Lorraine Neustedt, Harvey & Marie Kademan, Rodney Hawks, Harold Utke, Arlene & Elizabeth Utke, Wilfred Marcott, Jeffrey Dodge, Joseph Taylor, State of Wiconsin, Utke Bros. Building & Lumber Co., Claude Peissig, Arlen Utke
1994--Neil G. & Janet Krause, Harvey & Mary Hoover, Hubert & Pearl Koffarnus, Raymond G. & Karen O. Copeland, Ronald A. & Eloise M. Frohling, Rich C. & Margo Seefluth, P. & M. Oberhoffer, I. Neuenfeldt, T. Neuenfeldt, Rod & Inge Hawks, Arlen Utke, Bev. Utke, Eliz. J. Utke, Hal Utke, Wilford Marcott, LaVerna Marcott, Jeffery Dodge, Jos. Taylor, Ruth Taylor, H. K. Christensen, Sr., Ricky Dix, Eloise M. Frohling, Ronald A. Frohling
Section 2
1905--Jos. Kraut, H. Wachsmuth, J. S. Owen Lbr. Co., F.Buss, Thos. Lowe.
1915--Mrs. J. Kraut, E. & C Wachsmuth, F. Buss, Frank Buss, Emil Mathias, Ernest Woik, Glenzer Bros., O. Kateman, Chas. Fuekes (Fakes?)
1926--Herman Buss, Frank Buss, Rudolph Kopp, Mrs. Mary Kraut, Mrs. Selma Fakes, Emil Mathias, Ernest Woik, Rich Glenzer, Mrs. S. Mills
1938--Josef Kraut, Rudopph Kopp, Frank Kraut, Frank Buss, Emil Mathias, Ernest Woik, Rich Glenzer, Minn. Kateman, Chas. Fakes est.
Mid to late 1940's--Boemer, L. & E., Buss, O., Glenzer, H., Kopp, Rudolph, Kraut, F. & E., Kraut, I., Matthias, Emil, Woik, Ernest.
1956--Bertha Kraut, Lloyd Haemer, Erma Neuman, Franklin Kraut, Emil Matthias, Ralph Woik
1973--Franklin & Elsie Kraut, Herbert Neuman, Carl & Judith Haemer, Lloyd & Emma Haemer, Ralph & Elsie Woik, Carrie Matthias.
1981--Carl & Judith Haemer, Roger & Judith Hill, Myron & Ruth Buss, Kenneth & Donna Engel, Isaac & Mabel Martin, R.S. (Rich and M. Seefluth)
1986--Carl & Judith Haemer, Roger & Judith Hill, Myron & Ruth Buss, Kenneth H. & Sandra Engel, John & Kelly Fritz, Richard Seefluth
1994--Albert H. Buss, Carl D. & Judith L. Haemer, Myron & Ruth Buss, Kenneth H. Engel, Harvey & Mary Hoover, Rich C. Seefluth, Margo Seefluth
Section 3
1905--Withee est., Alb. Buss, J. S. Owen Lumber Co., Wm. Buss
1915--T. M. Todd, Albert Buss, Christ Daniels, Otto Woltz, Carl Beck, G. Noyes, Wm. Buss, Jno. Peters
1926--Herman Buss, Albert Buss, Wm. Buss, Geo. Noyes, Christ Danielson, Albert Utke, C. E. Beck, Jno. Pethers, Bee Hive School
1938--Frank Kraut, Elizabeth Buss, Christ Danielson, Albert Utka (Utke?), C. E. Beck, Bee Hive School, Chas Conrad, Alice Lamb, Ida Buss, Geo. Noyes
Mid to late 1940's--Beck, C. E., Beck, C. & M., Bee Hive School, Buss, E., Buss, F., Hingiss, W.,Koplitz, H. & E., Nauhaus (sp?), H. & K.
1956--Henry Neuhaus, Eliz. Buss, Henry Buss, Dan Anderson, Harold Koplitz, Ray Wagner
1973--Henry & Gertrude Buss, Ray Wagner, Albert H. Buss
1981--Henry & Gertrude Buss, Ray Wagner, Albert H. Buss
1986--Henry W. & Gertrude Buss, Albert H. Buss
1994--Albert H. Buss, Henry W. & Gertrude H. Buss
Section 4
1905--J. S. Owen Lumber Co., H. H. Co., T. O. Withee, Ramsay Land Co.
1915--T. P. Gustafson, F. Machie__(?), N. H. Withee, C. H. Withee, S. Myllaire, Chas. Peterson, G. A. Oakberg, C. Rasmussen, Jno. Peters
1926--C. Goneau Hayes, Frank Gustafson, H. Loedhe, C. Loedhe, Clark County Insane Asylum, G. Loedhe, Mattson Andelin (Antelini), T. D. Driscoll, Gust Oskberg (Oakberg?), M. E. Sawyer, Adolph Anderson
1938--Federal Land Bank, Frank Gustafson, H. Loehde, C. Loehde, G. Loehde, Clark County Insane Asylum, Frank Antelini, Tim Driscoll, C. W. Taylor, Farm-Sales Mtg. Co., Adolph Anderson
Mid to late 1940's--Antelin, F., Behringer, G., Bushnell, M., Clark County, Driscoll, T., Gustafson, A. & C., Hingiss, W. & C., Juntunen, F. & C.
1956--Wm. Hingess, Abner Gustafson, Clark County, Cornelius Driscoll, Frank Juntunen, Geo. Behringer, Edw. Voge
1973--Arnold & Jean Bakke, Bern. & Pearl Orsbrun, Cornelius & Mary Driscoll, Gordon & Erno Swenson, Edw. & Dor. Voge, Clark County
1981--Albert H. Buss, Bernard & Pearl Orsburn, Clark County, Cornelius & Mary Driscoll, Edward & Dor. Voge, Gordon & Erno Swenson, Anna Lindgren, Gary Lindgren, etal
1986--Albert H. Buss, Bernard & Pearl Orsburn, Clark County, Edward & Dorothy Voge, Myron & Ruth Buss, Mary Ann Driscoll, Gordon & Erma Swenson, John Kohn, Edwin Porath, Gary Lindgren
1994--Wisconsin Department of Transportation, Joseph & Phyliss Retzer, Albert H. Buss, Gordon & Erna Swenson, Myron & Ruth Buss, Edward & Dor. Voge, John Kohn, Anna Lindgren Porath, Thos. Kopp
Section 5
1905--H. H. Co., H. N. Withee, J. S. Owen Lumber Co., W. D. Hoard
1915--N. H. Withee, C. A. Johnston, W. Osenberg, M. Maxwell, John
Burkholtz, W. D. Hoard
1926--Clark County Insane Asylum, W. D. Hoard, A. T. Gates, John Nienni
1938--Clark County Insane Asylum, Harvey Weddig, Chas. W. Taylor, W. D. Hoard
Mid to late 1940's--Clark County, Devine, M., Taylor, J., Wesneski, N.
1956--Clark County, Geo. Devine, John Taylor, John Wesneski
1973--Clark County, Martha Devine, Lester & Beverly Kallberg, Mae Wesneski
1981--Clark County, Bernard Auburg, Lester & Beverly Kallberg, Leona Devine, etal.
1986--Clark County, Devine & Roohr, Lester & Beverly Kallberg, Carl Christenson, Kenneth Slusser
1994--Clark County, Robert J. Merriman Sr., Carl Kallberg, Leona & Michael Devine & June Roohr, Rich Schuman, Cheri Schuman
Section 6
1905--J. S. Owen Lumber Co., H. D. Hoard, N. P. Andreasen
1915--N. Anderson, S. Nielson Sjostrom & Lind, C. R. Powers, Jas. Devine, J. Bishop, (upper left corner of map missing)
1926--Chas. Rippi, E. C. Powers, James Devine, C. S. Welker, M.
Sjorsfrom (?), E. Lina (?), F. F. Cutter, F. W. Wood, Peter Riber, Joseph
Swfaly(?)
1938--Nes. Fillppula, C. S. Welker, E. C. Powers, James Devine, Peter Riber, F. D. Wood, H. Sjostrum
Mid to late 1940's--Devine, M., Lee, S. & C., Finnila, A. & V., La Vigne, A. & L., Norwalk, M. & A., Powers, E., Riber, R., Welker, O., Wood, F., 1 unreadable (Krant or Kraut?), B.
1956--Henry Wydeven,Orville Welk, Albert Ehlert, Martin Norwalk, Carl Lee, A.C. Lavigne, Morris Devine, Ben. Krom, Fred Wood, Peter Riber
1973-- Martha Devine, Richard & Harriet Laube, May Mrotek, Tauno Ranta, Warren & Cecelia Lewis, David & Lorraine Smith, R. Wagner, Orville Welker, H. L. Stock, State of Wisconsin
1981--H. L. Stock, Orville Welker, R. W., Lynn Strickland, Kenn. & Carol Klafke,
Conrad Beranek, ?.M., John Nikolay, State of Wisconsin,
Martha Devine, etal, Richard & Harriet Laube, May Mrotek, Don Beranek, Robert
Beranek, Craig Carlson, H. Carlson, Art Finnila, W. Finnila, Rich Morse
1986--Herbert & Dolores Stock, State of Wisconsin D.N.R., Devine & Roohr, Richard & Harriet Laube, Lynn & Holly Strickland, Ken & Carol Klafke, Joan M. Walker, Raymond Wagner, Thomas Meckley, Arthur Finnila, Daniel Bobbe, Donald Beranek, Craig Carlson, Robert Beranek, Richard Morse
1994--Michael Devine & June Roohr, State of Wisconsin DNR, Lynn & Holly Strickland, Terry & Kathy Laube, Richard & Harrient Laube, Joan M. Wilken, Herb & Delores Stock, Art & Vieno Finnila, Dan Bobbe, Mavis Bobbe, Donald Beranek, Conrad Beranek, Robert Beranek, Craig Carlson, Dwane Broberg, Ja. Devine, Art & Vieno Finnila, Thos. Meckley, Jennifer Meckley, Ray Wagner, Violet Wagner
Section 7
1905--J. S. Owen Lumber Co.
1915--A. J. Gilman, J. E. Dandokin, W. Goveia, Gus Sillanpaa, F. Mieczkowski, A. Kleinheinz
1926--A. L. Gilman, Mrs. F. Mishkowski, Dairy Belt Land Co., Wm. Sutter, H. E. Reisner, Gust Sillampaa
1938--A. L. Gilman, Alexandra Mieczkowski, C. B. Rasmussen, Wm. Sutter, Gust Sillampaa. J. E. Reisner
Mid to late 1940's--Bjerke, N. & E., Havelin, W. & H., Piper, E. & A., Porath, N. & J., Seufzer, J. & M., Sillampaa, G.
1956--Walfred Havelin, Joseph & Mary Seufzer, Carl Sillampaa, Norman Porath, Nathaniel Bjerke
1973--Peter & Rozella Rizzi, Martin & Lorena Carlson, William & Wanda Lingenfelter, Carl & Beverly Sillampaa, Arthur C. Johnson
1981--Leslie & Carol Kollmansberger, Eloranta Farms, Inc., Carl & Beverly Sillampaa, Robert W. Johnson, Mavis Jones
1986--Time Federal Savings & Loan Ass'n., Eloranta Farms Inc., Carl & Beverly Sillampaa, Robert W. Johnson, Mavis Jones
1994--Dennis E. Witt, Eloranta Farms Inc., Robert W. Johnson, Wayne & Joan Eloranta, Dor. Voge, Edw. Voge
Section 8
1905--J. S. Owen Lumber Co., T. O. Withee, Ramsay Land Co., M. Erdman,
G. Erdman
1915--Wm. Kangas, L. Eckland, E. B. Williams, R. W. & Alice Cummings, Chas. Sandquist, G. Lindgren, Tri State Land. Co., T. M. Todd
1926--C. B. Miljars(?), Mrs. L. Eckland, Henry Thess, T. M. Todd, P. J. Riley, A. F. Robertson, Gus Lindgren, Rial (?) Cummings, F. Boehm
1938--Alb. Newman, Henry Thess, A. C. Lavine, Jos. Switalski, Cecile Williams, P. J. Riley, A. Robertson, G.(Gus) Lindgren
Mid to late 1940's--Baumgartner, L. & E., Eloranta, E., Eloranta, G., La Vigne, A. & E., Lindgren, A., Lindgren, Gus, Reily, P. J., Reily, R., Switalski, J., Thess, Henry.
1956--Henry Thess, Melvin Mech, Laura Lavine, Axel Lindgren, etal, A. G. Lindgren, Pat Riley, Geo. Oswald Eloranta, Geo. Eloranta
1973--Plautz Bros., Edw. & Irene Lehnen, American Can Company, Herb Thess, George O. Eloranta, Geo. & Lola Eloranta, Pat Riley, A. G. Lindgren, Axel & Roxie Lindgren
1981--Eloranta Farms, Inc., Roland Misfeldt, Consolidated Papers, Inc., Ken & Caroline Jorgenson, Herbert Thess, Axel & Roxie Lindgren, A. G. Lingren, Thos. & Judith Riley, Charles Kangas, A. Kangas, Wes Marshall
1986--Eloranta Farms Inc., Roland Misfeldt, Ken N. & Caroline Jorgenson,
Consolidated Papers Inc., Herbert H. Thess, Roxie Lindgren,
Thomas & Judith Riley, Wesley Marshall, Charles Kangas
1994--Consolidated Papers Inc., Jas. & Delores Hatlestad, Jeffrey & Sheila R. Hurlebaus, Herbert H. Hess, Eloranta Farms Inc., George & Dennis Eloranta, Gregory P. & Cynthia D. Rohland, Charles Kangas, Andrea Lee Kangas, Wesley Marshall, Town of Green Grove
Section 9
Ramsay Land Co., J. S. Owen, J. L. Gates. C. L. Co., M. Spaulding, W.
Etchepp (?)
1915--J. M. Janke, Chas. Sandquist, A. Swanson, G. W. Kallberg, Alex. Kosky, L. Spirup, M. J. Spaulding, S. E. Johnson
1926--Frank Johnson, Robt. Switarsky, Alex. Koski, Sven (?) Peterson, M. J. Spaulding, Robert Watson, A. Swanson, Gust Kalberg
1938--Harry Kopp, Swan Peterson Alex. Koski, Frank Johnson, Frank Buehm, Walter Peterson. A. Swanson, Gust Kalberg, Rob. L. Watson, Theodore Miller
Mid to late 1940's--Bjorn, E. & R., Burtard, E., Clark County, Gustafson, H. & E., Johnson, W. & E., Kallberg, G. & J., Kallberg, L., Lindgren, V. & E., Peterson, R. & E., Peterson, W., State of Wisconsin
1956--Edw. Bjorn, Ella Burtard, Hilmer Gustafson, Rob’t Blunk, A. B. Switalski, Walt. Johnson, Lester Kallberg, Clark County, Bufford Foster Roy Peterson, Jennie Kallberg
1973--Edw. & Irene Lehnen, Edw. & Dor. Voge, Alice Gustofson, Ella
Burtard, Buford, Jr. & Genevieve Foster, State of Wis. (DNR), A. B.
Switalski, Walter & Violet Johnson, Beverly & Lester Kallberg
1981--Sylvia Dobner, Alice Gustafson, Ella Burtard, Buford, Jr. & Genevieve
Foster, State of Wisconsin (DNR), Violet Johnson, Lester &
Beverly Kallberg, Ken Ball, P. Ball, Dennis Dwyer, B. Dwyer, Eric Illgen, L.
Illgen, Greg Karlberg, R. Karlberg, Adolph Lavorata, A. Lavorata, Paul Olszewski,
N. Olszewski, Ken Portell, L. Portell, Charles Pizzitola, M. Pizzitola
1986--Sylvia Dobner, Alice Gustafson, Elda Burtard, Buford Jr. & Genevieve
Foster, State of Wisconsin D.N.R., Lester & Beverly Kallberg,
Violet Johnson, Gregory Kallberg, Gary Kallberg, Dennis Dwyer, Kenneth Portell,
Charles Pizzitola, James Carpenter, Eric Illgen, A. G. & A. P. Lavorata, Clark
County, Paul Olszewski
1994--Kenneth J. Burtard, Alice E. Gustafson, Elda Burtard, Buford & Genevieve Foster, Carl Kallberg, Violet Johnson, State of Wisconsin D.N.R., Greg Kallberg, Bev Kallberg, Lester Kallberg, Rhonda Kallberg, Dennis Dwyer, Barb Dwyer, Ken Portell, Lamon Portell, Jas. Carpenter, Carol Carpenter, Eric J. Illgen, L. J. Illgen, A. G. Lavatora, A. P. Lavatora, Paul Olszewski, Nona Olszewski, Clark County
Section 10
1905--Ch. Hatt, C. L. Co., J. S. Owen Lumber Co., T. Lowe, Emil Lipprandt
1915--School, Julia, Konik, Paul Baenowski, J. E. Bjorn, E. Lipprandt, O. Lipprandt, A. Woik, G. Sisco, Howel Williams, M. J. McNally
1926--John Konik, Paul Buranosky, Joe Bjorn, W. Vankusky, Oscar Lipprandt, Frank Ebertsch, H. Williams, J. Bachmeier, Geo. Sisco
1938--Oscar Lipprandt, Joe Bjorn, Paul Burnovsky, John Konik, Frank Ebertsch, H. Williams, Geo. Sisco, J. Bachmeier
Mid to late 1940's--Arneson, S. & E., Bachmeir, J., Bjorn, Joe, Grube, H. & V. Lipprandt, Oscar, Lulloff, B. & E., Thess, O. & F., Wankusky, W. & E., Williams, M.
1956--Oscar Lipprandt, Helen & Victor Grube, Theo. Sommer, Wm. Wankusky, Edw. Bjorn, Bernard Lulloff, Olive & Fred Thess, Silas Arneson
1973--Olive & Fred Thess, Bernard & Martha Lulloff, Helen & Victor Grube, Silas & Ella Arneson, Lavern & Pearl Nosbisch, Myron & Lorraine Ewert, Vernon & Jeanette Sommer, Peter & Sharon Brockhaus
1981--Victor Grube, James & Audrey Lulloff, Olive & Fred Thess, Buford, Jr. & Genevieve Foster, Wilmer Paul, Lavern & Pearl Nosbisch, Myron & Lorraine Ewert, Vernon & Jeanette Sommer, Harold Brockhaus, E. Arneson, Peter Brockhaus, S. Brockhaus, Victor Handle, T. Handle.
1986--Olive L. Thess, James B. Lulloff, Richard J. Grube, David H. Fredrick, Buford Jr. & Genevieve Foster, Ronald & Frances Lindgren, Lavern & Pearl Nosbusch, Myron & Lorraine Ewert, Vernon & Jeanette Sommer, Peter & Sharon Brockhaus, Victor Handel, Robert DeCaire, Elery Adams, Silas Arneson, Dennis Kruck
1994--Byron Lampi, James Bernard Lulloff, Richard J. Grube, David H. & Mary Fredrick Buford & Genevieve Foster, Daniel J. & Kristine A. Nosbisch, Myron & Lorraine Ewert, Vernon & Jeanette Sommer, Peter J. Brockhaus, Carol Decaire, Robert Decaire, Heidi Bjork, Ricky Bjork, Ronald E. Bjork, Shirley Bjork, Dennis Druck, Pat Kruck, Eliz. Utke
Section 11
1905--Emil Lipprandt, Aug. Lulloff, Ramsey Land Company, H. S. Reed, Joe Miller, E. Laabs
1915--Fisher Bros., Emil Lipprandt, H. Lipprandt, Frend Glenzer, J.
Sisco, G. Miller, J. Miller, Mrs. E. Laabs
1926--Fischer Bros., R. Lipprandt, Herm. Lipprandt, Walter Laabs, A. Hanne, Fred Dix, Isaac Sisco, Herb Glenzer
1938--Paul Woik, Oscar Fischer, Geo. Fischer, Walter Fischer, R. Lipprandt, Herm Lipprandt, Walter Laabs, A. Hanne, Fred Dix, Isaac Sisco, Hub. Glenzer
Mid to late 1940's--Dix, Fred, Glenzer, H., Laabs, A. & E., Laabs, Walter, Lipprandt, H., Lipprandt, W., Meyers, H. & L. Jr., Winkel, A. & C., Woik, P. & P.
1956--Paul Woik, Herbert Meyers, Albert Laabs, Walter Lipprandt, Hubert Glenzer, Fred Dix, Alex. Winkel, Walt. Laabs
1973--Ralph & Elsie Woik, Alfred & Harriet Laabs, Herbert & Lenore Meyers, Paul & Pauline Woik, Hubert Glenzer, Albert & Alvina Laabs, H. K. Christensen, Walter Laabs
1981--H. K. Christensen, Herbert & Lenore Meyers, Alfred & Harriet Laabs, Kenneth & Donna Engel, Hubert & Jean Glenzer, Albert & Alvina Laabs, Bruce Woggon, etal, James & Pauline Schiferl, Walter & Edna Laabs, Ray Barts, A. Barts.
1986--Kenneth H. & Sandra Engel, Alfred & Harriet Laabs, Herbert & Lenore Meyers, H. K. Christensen, Hubert Jr. Glenzer, Waggon & Kennedy, James & Pauline Shiferl, Douglas L. Zimmer, Raymond Barts, David Sommer, Rick Phillips
1994--Kenneth H. Engel, Alfred & Harriet Laabs, Herbert Meyers, Jr., H. K. Christensen, Jr. Tr., Richard S. & Nancy Jean Glenzer, Bruce Woggan & Pamela Kennedy, James M. & Pauline Shiferl, D. & J. Welsh, Doanld A. Welsh, D. & W. Sommer, Arlene Barts, Ray Barts
Section 12
1905--Carl Buss, Wm. Buss, School, Carl Krueger, J. & P. Glenzer, Fred Miller, F. Marquardt, F. Glenzer, Wm. Zazzenhaus
1915--Fred Miller, Wm. Buss, Woodland School, Emil Buss, C. Krueger, F. Marquardt, F. Glenzer, J. Kops, J. & R. Glenzer
1926--Fred Miller, Wm. Buss, Adolph Fricke, Richard Glenzer, Mrs. C. Krueger, Alb. Marquardt, F. Glenzer, J. Kobs, Woodland School
1938--Fred J. Miller, Frank T. Buss, Woodland School, Adolph Fricke, F. Lulloff, Richard Glenzer, Alb. Marquardt, Emma Glenzer, M. Mullins
Mid to late 1940's--Buss, F., Conway, F., Glenzer, E., Laabs Cheese Factory, Lulloff, F. & E., Miller, F., Peterson, F., Peterson, H. & L., Schuh, H. & V., Sommer, D. & L., Warncke, L. & E., Woodland School
1956--H. K. Christensen, F. Mueller, Frank Buss, Marvin Seefluth, Donald Sommer, Fred Lulloff, Henry Schuh, Emma Glenzer, Louis Warncke
1973--Will & Marie Collins, David & Orine Kademan, Edw., Sr. & Inez Suder, H. K. Christensen, Fred Lulloff, etal, Donald & Lucille Sommer, Henry J. Schuh, Roland & Elsie Hake
1981--H. K. Christensen, Edward Suder, Sr., David & Orine Kademan, Ronald & Shirley Bjork, Fred Lulloff, Donald & Lucille Sommer, Robert & Judith Schuh, Roland & Elsie Hake, Gordon & Ruth Armbrust, Ray Copeland, Robert Gosse, S. Gosse, Mavis Jones, David Partel, D. Partel, Edwin Stumpner.
1986--Ronald & Shirley Bjork, David Kademan, H. K. Christensen, Jeffrey & Shawn Williams, Lucille Sommer, Robert & Judith Schuh, Roland & Elsie Hake, Gordon & Ruth Armburst, Edward Suder, Edwin Stumpner, Robert Gosse, Raymond Copeland, David Paitel, Mavis Jones
1994--Ronald E. & Shirley Bjork, Raymond G. & Karen O. Copeland, Edward Suder, Sr., H. K. Christensen, Jr. Tr., Jerome J. & Martha Hofforth, Lucille W. Sommer, Judith Schuh, Roland & Elsie Hake, Harvery Z. & Rebecca Fox, Edwin Stumpner, Robert Gosse, Sharwin Gosse, Kelly Nosko, Carol Nosko, Robert Sowinski, Susan Sowinski
Section 13
1905--Wm. Schreiber, Wm. Sommer, Joe Miller, H. Meyers, H. Klemm, A. Hake, John Scheel, L. Lulloff, F. Wiegman, J. C. Karsten Jr.
1915--H. Meyers, J. Miller, H. Klem, T. Sommer, Adolph Hake, J. Karsten,
J. Schier, L. (Louis) Lulloff, R.(Rich) Wiegman
1926--Theo. Sommers, Art Sommers, Wm. Winkel, Frank Gerken, Fred Schreiber, Mrs. Adolph Hake, Louis Lulloff, Rich Wiegman (?)
1938--Wm. Winkel, Art Sommers, Theo. Sommer, A. F. Kobs, Adolph Hake, Joachim Karsten, Jno. Scheer, Louis Lulloff, Rich Wiegman
Mid to late 1940's--Augustine, A. & E., Hake, E., Kahemer (sp? maybe Kademan?), L. & B., Kobs, N., Meyers, H., Miller, J., Sommers, Theo., Wentzel, E. & N., Zuber, S. & R.
1956--Herbert Meyers, etal, Melvin Gosse, Henry Schuh, Vernon Sommer, Norman Kobs, Walter Hake, Albert Augustine, Leonard Kademan, Stanley Zuber, Earl Wentzel
1973--Vernon & Jeanette Sommer, Henry J. Schuh, Roland & Elsie Hake, Herb & Lenore Meyers, Norman H. Kobs, Albert & Amanda Augustine, Michael & Shirley Miller, Stanley & Rose Zuber
1981--Willard & Pat. Meyers, Robert Shuh, D. S., Henry J. Schuh, Vernon & Jeanette Sommer, Norman H. Kobs, H. K. Christensen, Roland W. & Elsie Hake, Isaac & Fern Martin, Rose Zuber, Norm Augustine, Don Seidel, B. Seidel, Ken Stumpner, T. Stumpner
1986--Vernon & Jeanette Sommer, Robert & Judith Schuh, Robert Schuh, Willard & Pat Meyers, Norman R. Kobs, Roland W. & Elsie Hake, H. K. Christensen, Isaac & Fern Martin, Rose Zuber, Donald Seidel, Norman Augustine, Henry Stumpner
1994--Judith Schuh, Vernon & Jeanette Sommer, Norman A. Kobs, Willard & Pat Meyers, Roland W. & Elsie Hake, H. K. Christensen, Jr. Tr., Isaac D. & Fern M. Martin, Rose Zuber, Ken Stumpner, Thea Stumpner, Don Esselman, Debra Esselman, Felicia I. Mock, Ken Stumpner, Thea Stumpner
Section 14
1905--Geo. Burroughs, W. Schenek, Fr. Marquardt, Carl Krueger, Aug. Woik, W. Devney
1915--F. Schaner, F. Schreiber, F. Stecker, Fred Marquardt, Carl Krueger, Aug. Woik, S. Zolliff
1926--Fred Glenzer, Fred Krueger, Anton Woik, Chas. Carnahan, Mrs. F. R. Schauer, Mrs.C. Krueger, Mrs. Aug. Woik, Carl Lund, Chas. Krueger
1938--Mrs. F. R. Schauer, C. F. Carnahan, H. F. Janke, B. Schauer, Joe Karsten, Joachim Karsten, Anton Woik, Alvin Woik, H. Wittlinger, Carl Lund
Mid to late 1940's--Carnahan, C., Carnahan, C. & E., Decker, A. & M., Hardrath, R. & D., Jagodzinski, D. & P., Koffernus, W. & L., Steffes, N. & I., Woik, F. & I.
1956--Wm. Koffarnus, C. F. Carnehan, Ernest Voik, Nick Steffes, Arlyn Decker, Sigman Bartosiak
1973--C. K. Carnahan, William & Leona Koffarnus, Ralph & Elsie Woik, H. K. Christensen, Robert Steffes, Herbert & Margaret Lube, Marlyn & Karen Sommer
1981--John & Karen Boss, Wilfred & Vida Carnahan, Kenneth & Donna Engel, H. K. Christensen, Robert Steffes, Marlyn & Karen Sommer, Herbert & Margaret Lube, Rich Hamann, J. Hamann, Jas. Sowleja, V. Sowleja
1986--Wilfred & Vida Carnahan, John & Karen Buss, Kenneth Engel, H. K. Christensen, Robert & Merle Steffes, Marlyn & Karen Sommer, Herbert & Margaret Lube, Robert DeCairo, Richard Hamann, Michael Tomkowziak
1994--Wilfred L. & Vida Carnahan, Kenneth H. Engle, Denis, David, & Mary Fredrick, John A. & Karen A. Boss, H. K. Christensen, Jr., Robert P. Steffes, Marlyn & Karen Sommer, Margaret Lube, Carol Decaire, Robert B. DeCaire, Sdteven M. & Debra F. Peterson, Kathleen Tomczak, Michael Tomczak, John A. Boss,Karen A. Boss, Rich & Joyce Hamann Fam. Liv. Tr., Jas. Anthony Sowiega
Section 15
1905--J. S. Owen Lumber Co., M. Spaulding, Ch. Hall, Wi. R. R., L. L. Urheim
1915--H. D. Bennett, M. J. McNally, J. S. Owen Lbr. Co., H. Koski, M. Lampe (Lampi), Wis. Central R.R. Co., J. C. Harris, G. Marquardt
1926--Daniel Morris, Chas. Marquardt, Ervin Koener (Kocner ?), M. J.
Spaulding, J. S. Owen Lbr. Co., Chas. Wickstrom, Math. Lampi, C.
Middlefort (?), Roy Pethers
1938--Herbert Fredrick, H. O. Lipprandt, Jno.
Pethers, J. S. Owen
Lbr. Co., U. A. Phillips, State Bank of Owen, Math. Lampi, J. S. Keator,
Chas. Marquardt, Fred Biehler
Mid to late 1940's--Fredrick, H. & M., J. Owen Lumber Company, Knowlton, A. & F., Laabs, L., Lampi, M. & F., Lampi, M. & J., Lipprandt, H., Lulloff, F. & E.
1956--Dan Fredrick, Herbert Fredrick, Vernon Sommer, Lulu Laabs, Matt. Lampi, Janette Lampi, Art. Thieme
1973-- Daniel & Shirley Frederick, Vernon Sommer, John & Victoria Sela, George & Sue Shattuck, Arnold Thieme, Arnold & Darlene Thieme, Leo & Yevonnie Plantico
1981--Daniel & Shirley Frederick, Vernon Sommer, Arnold Thieme, John & Victoria Sela, Mark & Bonnie Myler, David & Eva Hurst, Arnold G. & Darlene Thieme
1986--John & Victoria Sila, Vernon & Jeanette Sommer, Donald & Shirley Frederick, Klein & Myler, Steven & Debra Peterson, Arnold J. Thieme
1994--John & Victoria Sila, David & Wanda Sommer, Daniel H. & Shirley Frederick, Arnold G. Thieme, Robert D. DeCaire, etal, Steven M. & Debra F. Peterson, Mark Klein, Scott A. Seidel, Clark County
Section 16
1905--J. S. Owen Lumber Co.
1915--J. S. Owen Lbr. Co., Jno. Aysto, W. Iho, O. Kopesto (Kopisto?), H. B. Johnson, H. Pakela, J. Lahtinen, J.. Wiljanen, H. Salminen
1926--J. S. Owen Lumber Co., Jno. Wiljanen, Math. Nienni, Math. Lampi, Newman Bros., Otto Kapisto
1938--J. S. Owen Lumber Co., Math. Lampi, E. Niemi, U. (Uuno) Kolpanen, Newman Bros.
Mid to late 1940's--Anderson, G. & L. Jr., Bakke, N., Braithwait, D., Bruun (sp?), Dr., J. Owen Lumber Company, Lampi, M. & J., Newman, W., Peterson S. & A., Township of Green Grove.
1956--Town of Green Grove, Swan Peterson, Ross Braithwait, Michael Lampi, Douglas Braithwait, Gust Anderson, Walter Neuman
1973--Green Grove Township, Frank & Marg. Bartha, Terry J. Tadda, Don & Elaine Miller, William F. Schley, Dennis F. Lulloff, Ross & Maude Braithwait, Leo & Yevonnie Plantico
1981--Green Grove Township, Art. Peterson, Terry J. Tadda, Ross & Maude Braithwait, J. & W. Mateja, Leo & YeVonnie Plantico, W. H., David & Eva Hurst, William F. Schley, Patrick Parlin, William Handle, J. Handle, Art Paul
1986--Terry J. & Sally Tadda, Art. A Peterson, Green Grove Township, Ross & Maude Braithwait, Patrick A. Parlin, John W. Mateja, Steven & Debra Peterson, Leo Plantico, Arthur Paul, William Handel
1994--Terry J. & Sally F. Tada, Art A. Petersen, Green Grove Township, Ronald & Madelyne Thums, Leo E. & Y. M. Plantico, James B. Lulloff, Steven M. & Debra F. Peterson, Wm. F. Schley, Patrick A. Parlin, Bern Orsburn, Doug L. Zimmer
Section 17
1905--J. S. Owen Lumber Co., H. A. Bright
1915--G. Fugina, J. P. Peterson, Frank Otrin, H. A. Bright, A. Hervatin, F. Prepeluh
1926--J. (Jonas) Eloranta, G. Anderson, Ella Nielsen Fugina, Jennie Ohmen, Jack Kopack, Frank Otrin, Anton Harvatin, Frank Prepeluh, Niho (Niilo?) Lehtola
1938--Adolph Haavesto, G. Anderson, Hilja Eloranta, Joe Neimi, Jos. Pucel, Frank Prepeluh, Frank Otrin, Anton Harvatin
Mid to late 1940's--Anderson, C. & E., Eloranta, H., Niemi, O., Ortin, Frank, Pabich, F. & M., Prepeluh, Frank, Riley, R.
1956--James Riley, Geo. Eloranta, Edwin Porath, Frank Otrin, John Prepeluh, Frank Pabich
1973--Richard & Shirley Peterson, George & Lola Eloranta, Frank Otrin, etal, John Prepeluh, John & Lucille Greschner
1981--Eloranta Farms, Inc., Rich & Shirley Peterson, Frank Otrin, etal, John & Lucille Greschner, Thomas Greschner, George Eloranta, Lola Eloranta, William Johnson
1986--Eloranta Farms Inc., Roland & Marilyn Keilman, Fred F. Ortin, etal, John & Lucille Greschner, Thomas J. Greschner, William J. Johnson
1994--Eloranta Farms Inc., Roland & Marilyn Keilman, Steve P. Zimmer, Mary E. Greschner, T. Greschner, Thomas J. & Cheri Greschner, George O. & Lola Jean Eloranta
Section 18
1905--J. S. Owen Lumber Co., H. A. Bright
1915--A. Kleinheinz, W. E. Rigg, C. Rochford, H. A. Bright, Carl Laube, F. Clupper
1926--Ed Ettner, James Flynn, Carl Churkey, Karl Laube Jr., H. J. Bright, Jno. Webling (Wepling), Gus Holopainen, Gust Sillampaa, Niho Lehtola
1938--Gust Sillampaa, John Weppliek, Christ (Gust) Holopainen, G. Holopainen, Alfred Porath, James Flynn, Chas. Churkey, Karl Laube Jr. David Churkey, H. Schwarze
Mid to late 1940's--Churkey, C., Churkey, D. & S., Holopamen, A. & E., Laube H. & M., Niemi, O., Ortwig, C., Porath, J., Sillampaa, G. & H., Schwarze, H. & M., 1 unreadable, (Jnowappling - sp?).
1956--Carl Sillampaa, Edwin Porath, David Churkey, Harvey Schwarze, Arnie Holopainen, Henry Laube, David Churkey, Carl Oertwig, Norman Porath
1973--George O. Eloranta, Richard & Shirley Peterson, Edward &
Patricia Dowden, William L. & Wanda Lingenfelter, Charles & Ilene
Pribbernow, Shirley Brecht, Harold & Fern Laube, Martha Schwarze
1981--Carl & Beverly Sillampaa, Edward & Patricia Dowden, Ruth & Steve Simons, Charles and Ilene Pribbernow, Harold & Fern Laube, Duane & Dawn Pribbernow, Casey Aichele, Dennis Hanson, Albert Oertwig, Anna Oertwig
1986--Ruth & Steve Simons, Edward & Patricia Dowden, Carl & Beverly Sillampaa, Charles & Ilene Pribbernow, Harold H. & Fern Laube, Duane & Dawn Pribbernow, Dennis Hanson, Anna Oertwig, Casey Alchele
1994--Eloranta Farms Inc., Edward & Patricia Dowden, Ruth E. & Steve N. Simons, Charles & Ilene Pribbernow, Duane & Dawn Pribbernow, Elon Z. & Lizzie H. Martin, Town of Green Grove, Dennis Hanson, Albert Oertwig, Anna Oertwig
Section 19
1905--T. O. Withee, J. S. Owen, H. A. Bright, Bright School.
1915--Wm. Dietrich, J. G. Haire, W. D. Ehmonn, Kovatch, Bright School, H. A. Bright
1926--Math. Salo, Jas. Haire, Wm. Dietrich, North Bright School, Mrs. Edna West, South Bright School
1938--North Bright School, Wm. Dietrich, Jas. Haire, Math Salo, Jerne Kovatch, South Bright School, H. J. Bright, Mrs. Edna West
Mid to late 1940's--Federal Land Bank, Fischer, E. & E., Kovatch, Y., Laube, P. North Bright School, Okonski, H., Salo, E., South Bright School.
1956--Harry Okonski, Phillip Laube, Edwin Salo, Mary Kovatch, Elwood Fischer
1973--Duane Pribbernow, Donald L. Okonski, Mike & Elsie Kovatch,
Elwood & Esther Fischer
1981--Donald L. Okonski, Duane & Dawn Pribbernow, Mike & Elsie Kovatch, Elwood & Esther Fischer, Robert DeCaire, C. DeCaire, Walt Klay, P. Klay
1986--Duane & Dawn Pribbernow, Donald O'Konski, Mike & Elsie Kovatch, Elwood & Esther Fischer, Walter Klay, Steve O'Konski, Steven Gerard
1994--Duane & Dawn Pribbernow, Donald Okonski, Elwood Fischer, Elsie Kovatch, Johnny J. Barker, Deborah Gerard, Walt Klay, Phyliss Klay, Steve & Renae O’Konski
Section 20
H. A. Bright
1915--Wm. Dietrich, H. A. Bright, A. Luosa, J. Jerina, K. Ranta, M. Kovak (Novak?), K. Ranta
1926--Wm. Dietrich. L. E. Bright, Herm. Hardrath, John Jerina, Chas. Ranta, Math. Novack
1938--Wm. Dietrich, Ben Jablonski, Math Novak, John Jerina, Louis Hardrath, Bright (F. & N. E. railroad stop), Esther Fischer
Mid to late 1940's--Dietrich, M., Diedrich, N., Fischer, E., Fischer, E. & E., Novack, Math., Raatz, O., Schley, D. & H.
1956--Norma Dietrich, Manford Dietrich, Esther Fischer, Elwood Fischer, Don Schley, Otto Raatz, Math. Novak
1973--Clarence & Elizabeth Olson, Esther Fischer, Elwood & Esther Fischer, William F. Schley, Paul & Helen Quast
1981--Elizabeth Olson, Esther Fischer, Elwood & Esther Fischer, William F. Schley, Frank & Mary Makovec, Alf Firek, C. Firek
1986--Elizabeth Olson, Esther Fischer, Elwood & Esther Fischer, William & Nancy Schley, Joseph & Emily Makovec
1994--Elizabeth Olson, Elwood Fischer, Elwood & Esther Fischer, William F. Schley, Emily Makovec, Jas. K. Apfelbeck, Gail M. Apfelbeck, Alf Firek, Cath. Firek
Section 21
1905--J. S. Owen Lumber Co.,, H. A. Bright
1915--H. E. Braun, H. Hunt, True D. Coe, H. B. Hubbard, H. A. Bright
1926--Henry E. Brown, Homer Hunt, Sechler Marsh, Frank Sluga, Math. Novack, Dr. T. D. Coe, Louis Kroin (Krom)
1938--Homer Hunt, Harris Trust & Savings Bank Trust, Frank Sluga, M. Novak, Louis Krom
Mid to late 1940's--Christianson, H., Ewert, A., Kolpanen, V. & N., Novack, A. & E., Novack, Math., Raatz, O., Scheel, W., Schley, D. & H., Sluga, A.
1956--Arthur Ewert, Don Schley, Anna Jesenovec Otto Raatz, Math. Novak, Albert Novak, Uuno Kolpanen, Henry Scheel, H. K. Christensen
1973--Milford D. Ewert, William F. Schley, Anna Jesenovec, Albert & Carmen Novak, Uuno & Norma Kolpanen, Henry & Myrtle Scheel, L.P.L H. K. Christensen
1981--William F. Schley, Anna Jessenovec, etal, Milford D. Ewert, Milford & Shirley Ewert, Uuno & Norma Kolpanen, Sandra Bertapelle, L.P.L., Henry & Myrtle Scheel, Don Schley, H. Schley
1986--William & Nancy Scheley, Milford & Shirley Ewert, Anna Jesenovec, etal, Uno & Norma Kolpanen, Gary & Sandra Sommer, Lawrence & Sandra Fritz, Donald Schley, Lakeland Pipeline Co.
1994--William F. Schley, Anna Jesenovec, etal, Miilford & Shirley Ewert, Anna Jesenovec, etal, F. C. L., Milford D. Ewert, Bonita J. Jensen, Gary V. & Sandra Sommer, Lawrence & Sandra Fritz, Jerry Lindgren, Lola Lindgren, Hazel Ellen Schley
Section 22
1905--H. A. Bright, J. S. Owen Lumber Co., John Augustein, L. L. Urheim
1915--Mrs. Chr. Midelfort, H. A. Bright, J. W. Augustien, J. Augustien
1926--Paul Jagodzinski, Sechler Marsh, John W. Augustin
1938--Paul Jagodzinski, B. Bjorn, Gay Sechler, Wm. Marsh, John W. Augustin
Mid to late 1940's--Augustine, John, Bjorn, S. & E., Christiansen, H., Jagodzinski, P.
1956--Harry Dumler, Sylvester Bjorn, John Angustien, H. K. Christensen
1973--Uno & Mary Phillips, Harry & Janet Dmler, Peter & Eliz. Saltis, H. K. Christensen
1981--Max Langfeldt, Harry & Janet Dumler, H. K. Christensen, Peter & Elizabeth Saltis, John Kudingo, J. Kudingo
1986--Frances Langfeldt, Harry & Janet Dumler, H. K. Christensen, Mary Ann Pipkorn, Green Grove Township
1994--Max Langfeldt Family Trust, Janet Dumler, Mary Ann Pipkorn, H. K. Christensen, Jr., Tr.
Section 23
1905--J. S. Owen Lumber Co., Wm. Devney, John Scheer, Chas. Hall, C. Schoenwetter, Chas. Elstrom, Aug Lange, Mrs. L. Johnson, H. A. Bright
1915--S. Zolliff, A. Krueger, Matt Ronka, R. Weigmann, Mrs. J. Ohman, A. Lange, Jno. Ohman, H. A. Bright, J. Miller Jr.
1926--Math. Ronka, Carl Krueger, Hugo Krueger, Wm. Krueger, E. E. Edwards, Jno. Miller, Aug. Lange, Mrs. J. (?) Johnson, R. Scheel, Joacim Miller
1938--Hugo Krueger, Albert Krueger, Hall Land Co., Wm. Krueger, Halver Becken, E. E. Edwards, Emma Lange, F. Mews, R. Scheel, Joachim Miller
Mid to late 1940's--Edwards. L., Hardrath, R. & D., Kline, D. & S., Krueger, G., Krueger, Hugo, Lange, J., Miller, J. & T., Miller, W. & E., Scheel, R. & L.
1956--Hugo Krueger, Arlyn Decker, Julius Lange, Clark County, H. K. Christensen, Walt Miller, Wilbert Miller, Roland Scheel, Henry Rosin
1973-- James & Sandra Brannan, Marlyn and Karen Sommer, Richard & Barbara Soback, Clark County, Emil & Viola Untiedt, Arnold & Pat. Jagodzinski, W. H., Roland Scheel, Theodore Miller
1981--Douglas & Patricia Liepke, Marlyn & Karen Sommer, Earl & Karen Lackey, Clark County, Greg & Phyllis Untiedt, Arnold & Pat. Jagodzinski, N. & H. Scheel, Leander Schaefer, M. Schaefer, Ralph Will, A. Will
1986--Doug & Patricia Liepke, Marlyn & Karen Sommer, Farmers & Merchants Bank, James & Sharon Laru, Clark County, Greg & Phyllis Untiedt, Arnold R. Jagodzinski, Nels & Harold Scheel, Adeline Miller, Allan Kaatz, Ralph Will
1994--J. & H.H., Doug R. Liepke, Marvin & Karen Sommer, Joseph H. & Ruth Taylor, N. Jr. & N. Searer, Adeline O. Miller, Nels & Harold Sheel, Arnold R. Jagodzinski, Wm. Orin & Alice & Caroline Colby, Arnold & Patricia Jagodzinski, Clark County, Greg & Phylis Untiedt, Jas. R. & Sharon Laru, Williams Bros. Pipeline, Town of Green Grove, John & Heidi Heil, Allen Kaatz, Rae Jean Kaatz, Arlene Will, Ralph Will
Section 24
1905--John Scheer, J. Miller, Joachim Miller, Jr., School, L. Lulloff, F. Wiegman, Otto Bahn, Theo. Schaffer, Town Hall, Er. Johnson
1915--R. Wiegmann, L. Lulloff, J. Miller Jr., J. Schier, J. Miller, Sr., Jno. F. Miller O. Bahn, F. Johnson, T. Schaffer, Atwood School
1926--Jno. Sheer, Joachim Miller, M. Becker, Louis Lulloff, Rich Wiegman, Mrs. Anna Bahn, John Miller, Fred Johnson, Theo. Schaffer, Atwood School
1938--Rich Wiegman, Louis Lulloff, A. Ewert, Joachim Miller, Atwood School, Jno. Scheer, H. Becken, John F. Miller, A Bahn, Fred Johnson Bernhard Newman
Mid to late 1940's--Atwood School, Ewert, A., Kahemer (sp? maybe Kademan), L. & B., Kline, D. & S., Miller, T., Miller, W. & A., Stowe, R. & C., Wenzel, E. & N., Zuber, S. & R.
1956--Stanley Zuber, Leonard Kademan, Wilbert Miller, Earl Wentzel, Art Ewert, Harold Block, Theo. Miller, R. S. Stone, Herbert Lube
1973--Wilbert & Adeline Miller, Theodore Miller, Michael & Shirley Miller, Stanley & Rose Zuber, Ettamay Ewert, H. K. Christensen, Glen Stowe, Herbert & Marg. Lube
1981--Wilbert & Adeline Miller, Harold K. Christensen, Isaac & Fern Martin, Rose Zuber, Myron & Lorraine Ewert, Norman & Jacqueline Searer, Earl & Karen Lackey, Ron Thums, M. Thums, Emil Untiedt, C. Untiedt, George Vines, D. Vines
1986--Gary & Leslie Stang, Isaac & Fern Martin, Rose Zuber, Myron &
Lorraine Ewert, Harold K. Christensen, James & Robert Tow, Norman Searer,
Wayne Schultz, Ronald Thums, Emil Untiedt
1994--Gary R. & Leslie Stang, Isaac D. & Fern Martin, Rose Zuber, Myron & Lorraine Ewert, Harold K. Christensen, Jr., Gregory & Phylis Untiedt, Town of Green Grove, Wayne & Loretta Schultz, Madelyne Thums, Ron Thums, Carol Untiedt, Emil Untiedt, Jr.
Section 25
1905--C. H. Hatt, Er. Johnson, T. O. Withee, J. Stewart, Wi. Central R. R., J. S. Owen, C. Cornelius, Ernest Rahn, Alb. Riemer
1915--E. Rahn, F. Johnson, Jno. Untiedt, J. H. Brocker, L. Ward & F. J. Wood, H. F. Lindley, A. Riemer, J. S. Owen Lbr. Co., Wis R.R. Co.
1926--John Untiedt, Fred Johnson, Ernest Rahn, Oscar Johnson, Albert
Riemer, F. J. Wood, Harry Untiedt
1938--Ernest Rahn, Fred Johnson, John
Untiedt, Harry Untiedt, Oscar
Johnson, Walter MIller, H. Untiedt, John Untiedt, Albert Riemer
Mid to late 1940's--Mid to late 1940's--Johnson, O. Oscar, Lube, H. & M., Miller, W., Unteidt, E. & V., Unteidt, Harry, Untiedt, H. & V., Stowe, R. & C., Will, R. & E.
1956--Herbert Lube, R. S. Stone, Emil Untiedt, Harry Untiedt, Walter Miller, Ralph Will
1973--Herbert & Marg. Lube, Glen Stowe, Emil & Viola Untiedt, Harry & Viola Untiedt, Ralph & Arlene Will, Douglas E. Erickson
1981--Greg & Phyllis Untiedt, Earl & Karen Lackey, Norman & Jacqueline Searer,
Emil & Carol Untiedt, Ralph & Arlene Will, Jas Zuiker,
M. Zuiker
1986--Greg & Phyllis Untiedt, James & Robert Tow, Norman Searer, Emil W. Jr. & Carol Untiedt, Ralph & Arlene Will, Emil Untiedt, Martin Holum
1994--Gregory & Phylis Untiedt, S. Untiedt, etal, Emil W., Jr. & Carol Untiedt, Ralph & Arlene Will, Daniel D. & Ronda L.Gutenberger, Keith Untiedt, Tammy Untiedt
Section 26
1905--Wm. Jiskowsky, Mrs. L. Johnson, J. S. Owen, Aug. Long, Wm. Raatz, Albert Raatz, C. L. Coleman, Aug. Horner, Thos. Love
1915--Jno. Untiedt, W. Raatz, A. Raatz, Jno. Ohman, Wm Jiskowski, August Harner (Horner?), T. Love
1926--John Untiedt, Gay Sechler, Wm. Cammers, Mrs. J. Johnson, Wm.
Jischkowski, Wm. Raatz, Alb. Raatz, Aug. Lange, Ed. Voge Est.
1938--John
Untiedt, Martha Raatz, Lewis Johnson, Eugene Johnson,
Mathilda Jischkowski, Albert Molle, E. Lange, Wm. Cammers, Hilda
Wittlinger, Albert Raatz
Mid to late 1940's--Decker, C. & M., Hardrath, H. & E., Lange, J., Molle, A., Molle, A. & R., Raatz, Alb., Raatz, M., Scheer, J., Schuette, E. & R., Untiedt, E. & V., Untiedt, H.
1956--Emil Untiedt, Edw. Raatz, Julius Lange, Chester Decker, Elmer Schuette, A. Leonard, Orland Scheer, Sophia Cline, Harry Untiedt, Alb’t Mole, Alfred Molle
1973--Stan. & Rose Zuber, Emil & Viola Untiedt, Rob't & Merle Steffes, Allen B. Pember, Max & Louise Searer, Elmer & Ruth Schutte, Arnold & Pat. Jagodzinski, Keith & Lorraine Stern, Leroy Sloth
1981--Arnold & Pat. Jagodzinski, D. F., Merlin & Lorraine Obernberger, Greg &
Phyllis Untiedt, Robert & Merle Steffes, Elmer & Ruth
Schuette, Bert & Joyce Roberts, Leroy Sloth, Gary & Penny Searer, Rose Zuber,
Don Finck, P. Finck
1986--Arnold & Patricia Jagodinski, F. H. A., LeRoy Sloth, Elmer & Ruth Schuette,
Merlin & Lorraine Obernberger, Greg & Phyllis Untiedt,
Robert & Merle Steffes, Rose Zuber, Gary & Penny Searer, Donald Flink
1994--Arnold R. & Patricia Jagodzinski, Wm. Orin & Alice & Caroline Colby, William & Jennifer Schuette, John B. & Laura Gardner, Leroy & Dorothy Sloth, Merlin & Lorraine Obernberger, Gregory & Phylis Untiedt, Robert Steffes, Gary A. & Penny J. Searer, , Rose E. Zuber, Rodney DeCaire, Kathleen DeCaire
Section 27
1905--T. Selves, Chas. Elstrom, E. Gilbert CLOVER DALE, N. Brenaman, C. Richlow, J. S. Owen
1915--Tri State Land Co., Dairy Belt Land Co., C. Recheleu, L. Newman, Edwin Awe, A. (H. ?) Hardrath, A. D. Welch, C. Brenaman
1926--Elmer Elstrom, James Vanderhey, A. A. Molle, Edwin Awe, Anton Stupka, Rollie Lyons, Martin Stupka
1938--Elmer Elstrom, Edwin Awe, Jos. Bukacek, C. Marquardt, etal, Northwest Mutual Life Ins. Co., James VanDeHey, A. A. Molle
Mid to late 1940's--Awe, Edwin, Elstrom, E. & O., Hardrath, H. & E., Hardrath, L. & L., Federal Farm Management Corp., Molle, A. & E., N. W. Mutual Life Insurance Company
1956--Edwin Awe, Jens Miller, Herman Hardrath, Alfred Molle, Bernard, Wis. Dev. Corp., Louis Hardrath, and small tracts in Atwood
1973--Peter & Katie Chudyk, Harold & Dorthaleen Hardrath, H. K. Christensen, Bernard Wis. Farm Develpment Corp., Charles & Kay Jarvis, Keith & Lorraine Stern
1981--Peter & Katie Chudyk, Ron Wurl, H. K. Christensen, Charles & Kay Jarvis, Harold & Dorthaleen Hardrath, Bert & Joyce Roberts, Calvin Schulz, A. Schulz, Edna Sonderegger
1986--H. K. Christensen, Emil W. Untiedt, Harold & Dorthaleen Hardrath, Dean &
Joyce Jarvis, Charles & Kay Jarvis, F. H. A., Calvin
Schulz, Clara Newman, Edna Sawnderregger, Peter & Katie Chudyk
1994--H. K. Christensen, Jr., Tr., Harold K. Christensen, Sr. Marital Trust, A. Jagodzinski, Dean R. & Joyce A. Jarvis, Harold E. & Dorthaleen Hardrath, John B.& Laura Gardner, Town of Green Grove, Klara Neumann, Arlene Schulz, Calvin Schulz, Lovey Ann Wagner
Section 28
1905--J. S. Owen Lumber Co., N. Brenaman, Fred Prens
1915--A. D. Welch, Edward Jerry, R. C. Clark, F. L. Smart, J. F. Schaffer,
J. Kraus, C. Brenaman
1926--Albert Raatz, Herm. Raech, Martin Stupka, Edward Jerry, A. T. Olson, Frank L. Smart, Jno. Schaffer, G. C. Radley
1938--Albert Raatz, Mike Kovatch, Jno. M. Makovec, Jno. Schaffer, G. Radley, Carl Elstrom, Fred Wilke, C. Marquardt, etal
Mid to late 1940's--Dumler, H. & C., Elstrom, E., Hardrath, L. & L., Haavisto, E., Kovatch, M. & E., Makovec, J., Makovec, J. & E., Raeck, F. & M., Scheel, L. & C.
1956--Mike Kovatch, Eino Haavisto, Fred Raeck, Louis Hardrath, Linwood Harris, Peter Chudyk, John Makovec, Jos. Makovec, Alden Hardrath
1973--Mike & Elsie Kovatch, Eino Haavisto, Esther M. Makovic, Peter & Katie Chudyk, Charles & Kay Jarvis, Joe & Emily Makovic, Jerome & Sally Weiler
1981--Esther M. Makovic, Aaron & Mary Zimmerman, Milford & Shirley Ewert, Joe & Emily Makovic, Jerome & Sally Weiler, Ronald A. Wurl, Charles & Kay Jarvis, Harvery & Ella Zimmerman
1986--Esther M. Makovec, Aaron R. & Mary Zimmerman, Milford & Shirley Ewert, Joe & Emily Makovec, Wurl Bros. Farms, Harvey & Ella Zimmerman, Charles & Kay Jarvis, Jerome & Sally Weiller
1994--Esther M. Makovec, Aaron R. & Mary L. Zimmerman, Milford & Shirley Ewert, Harvery S. & Ella Zimmerman, Wurl Bros. Farms, Joseph Makovec, Dean R. & Joyce A. Jarvis, Jerome & Sally Weiler
Section 29
1905--H. A. Bright, N. C. Foster, Bright P.O., J. S. Owen Lumber Co., Mike Swidalski, C.H. Hall, F. Swidalski, Fred Prens
1915--F. McKovec (Makovec?), J. Jerina, N. C. Foster, H. A. Bright, S. Ruotsala, R. Touier, H. O. Awe, F. Switalski, J. Kraus, A. W. Ehleb
1926--Frank Makovec, A. W. Ehleb, Henry O. Awe, G. S. Radley, Carl Schroeder, Sam Rustsala (Ruostala), Rich Tawfau, Herman Hardrath
1938--Frank Makovec, Henry O. Awe, G. S. Radley, Carl Schroeder, Jno. Miller, Victor Maki, Herman Hardath
Mid to late 1940's--Hardrath, H. & E., Kovatch, C.
1956--Frank Makovic, Cecil Alexander, Harlan Hardrath, Frank Makovic, Jr., Chas. Kovatch, Sam Borowksi
1973--Joe & Emily Makovic, Cecil & Evelyn Alexander, Harlan & Eileen Hardrath, Frank, Jr. & Mary Makovic, Charles & Sophie Kovatch, Herbert & Virginia Zimmerman
1981--Joe & Emily Makovic, Ronald & Sandra Cook, Erwin & Dorothy Holbrook, Herbert & Virginia Zimmerman, Harlan & Eileen Hardrath, Eloranta Farms, Inc., E. Alexander, Louis Hardrath
1986--Robert & Carla Tiling, Federal Land Bank, Joe & Emily Makovec, Eloranta
Farms Inc., Harlan & Eileen Hardrath, Herbert & Virginia
Zimmerman, Janice L., Louis Hardrath, Dennis Swenson
1994--Benuel S. & Mary Lapp, Herbert P. & Virginia Zimmerman, Richard G., Sr. & Linda K. Bicker, Kim L. & Marilyn Frderickson, Eloranta Farms, Inc., Harlan & Eileen Hardrath, Darlene Douhitt, Deana L. Parker, Cecile & Evelyn Alexander
Section 30
1905--H. A. Bright, T. O. Withee, John Henrickson, Fred Awe, A. L. Mortimer, Dan Smith, John Hynek
1915--H. A. Bright, A. Modic, L. J. Bodwin (?), Mrs. Fred Awe, A. Trentely, D. Smith, W. Hynek, C. A. Witt
1926--Robert Smith, H. & J. Bright, Greenwood State Bank, H. Watson, Floyd Alexander, Dan Smith, Herman Awe, Hugo Behringer
Mid to late 1940's--Awe, H. & L., Churkey, M. & E., Jablonic, T. & E., Kovatch, Y., Modic, A., Roix, H. & V., Smith, R., Wilkins, R. & M.
1956--Thos. Jablonic, Melvin Churkey, John Kovatch, Marvin Churkey, Herbert Roix, Walt. Dresdow, Arnold Bare, Herman Awe
1973-- Thomas & Irma Jablonic, Marvin & Edith Churkey, Clarence, Arthur, & Ernest Dumke, Orlando & Judith Ackerman, Arnold & Lydia Awe, James C. & Lorraine Olson, Marvin Churkey
1981--Marvin Churkey, Wayne & Peggy Turnquist, Arnold & Lydia Awe, Orlando & Judith Ackerman, Clarence & Arthur Dumke, Marvin & Edith Churkey, Irma Jablonic, Ron Lindgren, F. Lindgren
1986--Donald O"Konski, Wayne & Peggy Turnquist, Delores Dumke, Edith Churkey, Irma Jablonic, Orlando & Judith Ackerman, Ronald Lindgren, Jerry Nelson
1994--Donald L. O’Konski, Moses H. & Katie M. Byler, Richard G., Sr. & Linda K. Bicker, Delores Dumke, Gerald C. & Vernada A. Downey, Allen L. & Shirley Baehr, Joe A. & Susie Byler, Ron Lindgren, Frances Lindgren, Hy Lee Scheel
Section 31
1905--A. L. Mortimer, Henry Awe, J. S. Owen
1915--Henry Awe, C. A. Witt, L. Knudson, H. (Hugo) Sandstrom, Geo. Rheinhart, C. Stenman
1926--Henry Awe, Wm. Awe, Louis Knutson, Hugo Sandstrom, Geo. Rheinhart, C. L. Stenman, J. S. Owen Lbr. Co.
1938--Art Awe, Henry Awe, Geo. Wm. Awe, Lydia Awe, Walter Voigtlander, H. (Hugo) Sandstrom, J. S. Owen Lbr. Co, Geo. Reinhardt, C. Stenman
Mid to late 1940's--Awe, A., Awe, G., Awe, L., Awe, W., Awe, W. & L., Eloranta, E. & E., Reinhard, E. & M., Steinman, C., Steinman, M.
1956--Art. Awe, Lydia Awe, William Awe, Geo. Awe, Edwin Eloranta, Edw. Rheinhart, Mathilda Stenman, C. Stenman
1973--Arthur Awe, Arnold G. & Lydia Awe, Edwin & Elma Eloranta, George & Marion Reinhart, William & Gladys Englebretson
1981--Arthur Awe, Arnold & Lydia Awe, George & Marion Reinhart, Edwin & Elma Eloranta, William J. & Gladys Englebretson
1986--Arthur H. Awe, Arnold & Lydia Awe, Edwin & Elma Eloranta, George & Marion Reinhart, William & Gladys Englebretson
1994--Henry A. & Mary L. Awe, Richard & Susan Eloranta, Carl A. & Clare L. Wauer, Edwin & Elma Eloranta, Edward & Catherine Schindler, William J. & Gladys L. Engelbretson
Section 32
1905--C. H. Hatt, J. S. Owen
1915--Soli Maki, Emil Balberg, O. Weskewoski (Neskewoski?), G. J. Hill, M. Anderson, G. Swanson, H. Swanson, C. Hangberg, John Nimra (Nirva?)
1926--Chas. Maki, Claus Hegberg, Herm. Swanson, G. A. Swanson, Louis Scheel, Otto Westermak, Matt R. Niemi, John Nirra
1938--Soli Maki, Roland Scheel, Mrs. Alma Tewes, etal, Matt P. Niemi, John Nirva, Wm. Nirva, G. S. Radley
Mid to late 1940's--Englebretson, W. & G., Karpinski, E. & V., Maki, W. T., Maki, Wil. T., Niemi, Matt R., Scheel, R., Schindler, E. & K.
1956--Vincent Gasecki, Roland Scheel, Herman Awe, Wm. Awe, Ed. & Kath. Schindler, Wm. Englebretson
1973--Orlando & Judith Ackerman, Arnold G. & Lydia Awe, Vincent & Lillian Gasecki, Henry & Patricia Stieman, Alphonse & Delores Kieffer, William & Gladys Englebretson
1981--Orlando & Judith Ackerman, Arnold G. & Lydia Awe, Alphonse &
Delores Kieffer, William J. & Gladys Englebretson, Henry & Patricia Stieman,
Vincent & Lillian Gasecki, Robert DeCaire, C. DeCaire
1986--Orlando & Judith Ackerman, Arnold & Lydia Awe, Henry & Patricia Stieman,
Vincent & Lillan Gasecki, Alphonse & Delores Kieffer,
William & Gladys Englebretson, Mark Krug
1994--Orlando G. & Judith A. Ackerman, Carl A. & Clare L. Wauer, Henry & Patricia Stiemann, Vincent & Lillian Gasecki, Wayne L. & June D. Roohr, William J. & Gladys L. Englebretson, Wendy A. Olson
Section 33
1905--A. Hardrath, J. S. Owen Lumber Co., John Hynek, C. H. Hatt, Frank Mierke, H. Hardrath, Gust Burkawitz, Christ Anger, F. Raeck
1915--W. Hynek, J. F. Schaffer, Chas. Horner, Ed. Horner, M Guskey (?), Wm Hardrath, F. Raeck, A. Molle
1926--Lon Ingersoll, John Schaffer, Ed. Horner, Wm. Hardrath, Jno. Rohr, Henry Hardrath, Fred Raeck
1938--Robert Kollmansberger, John F. Schaffer, Ed. E. Horner, Wm. Hardrath, Jno. Rohr, Henry Hardrath, Fred. C. Raeck
Mid to late 1940's--Awe, H. & R., Hardrath, A. & E., Hardrath, H. & M., Hardrath, L. & L., Horner, E. & M., Horner, M., Krause, H. & M., Raeck, Her., Rohr, J. & F.
1956--Louis Hardrath, Linwood Harris, Henry Awe, Alden Hardrath, Chas. Witt, Harlan Raeck, LaVern Lenz, Ed. Horner
1973--Wm. & Norma Mahl, Louis Hardrath, H. K. Christensen, Jerome P. & Sally Weiler, Iver & Leora Sloth, Emil & Margaret Horner, Herschel & Colleen Teter
1981--Jerome & Sally Weiler, Lawrence & Sandra Fritz, Peter & Katie Chudyk, Iver & Leora Sloth, Henry & Patricia Stieman
1986--Jerome & Sally Weiler, Lawrence & Sandra Fritz, Peter & Katie Chudyk, Iver & Leora Sloth, Henry & Patricia Stieman, Hershel Teter
1994--Jerome P. & Sally L. Weiler, Henry & Patricia Stiemann, Lawrence & Sandra Fritz, F.C.L.,Peter & Katie Chudyk Irrev. F.E.S. Tr., Harold K. Christensen, Sr. Marital Trust, John T. Stiemann, Frank Chudyk, Thos. & Donna Odeen, Leora R. Sloth
Section 34
1905--J. S. Owen Lumber Co., Wm. Mierke, Ad. Molle, Louis Molle, School, F. Raeck, A. Molle, Fred Reus, School, F. Mierke
1915--Henry Molle, Fred Preis, Hardrath Bros., T. W. Price, R. C. Clark,
A. Molle, D. Mandel, F. Raeck,
1926--Fred Becker, Adolph Molle, Elmwood School, Aug. Price, Fred Price, Herman Hardrath, Mrs. O. Mandel (?), Fred Raeck
1938--Elmwood School, F. Becker, Mary Klemm, B. Mandel, Fred C. Raeck, Herm. Hardrath, Adolph Molle, Aug. Price, Fred W. Price
Mid to late 1940's--Alexander, W. & E., Dumler, H. & C., Elmwood School, Haavisto, E., Hardrath, Herm., Molle, A. & R., Price, A. & E., Price, Fred., Raeck, H. & R.
1956--Eino Haavisto, Alfred Molle, Aug Price, Sr., Peter Chudyk, Walter Alexander, Harlan Raeck, Harold Hardrath, Fred Price
1973--
Peter & Katie Chudyk, Eino & Doris Haavisto, Keith & Lorraine
Stern, Ernest Price, Herschel & Colleen Teter, Harold & Dorthaleen
Hardrath, Ernest F. Price
1981--Bert & Joyce Roberts, Ronald A. Wurl, H. K. Christensen, Henry & Patricia Stieman, Glen & Cindy Hardrath, Ernest Price, Ernest F. Price
1986--Wurl Bros. Farms, F. H. A., Ernest Price, Glen Hardrath, LeRoy Sloth, Henry & Patricia Stieman, Mary Belding, Theodore Miller, Carolyn Miller
1994--Ronald & Alvin Wurl Wurl Bros. Farms, John B. & Laura Gardner, Wurl Bros. Farms,Ernest Price, Leroy & Dorothy Sloth, John T. Stiemann, Glen & Hope Hardrath, Kathy Fitzl
Section 35
1905--J. S. Owen, H. Hardrath, Gust Kiessig, Fred Molle, H. Molle
1915--Fred Molle, H. Hardrath, W. B. Scheel, Henry Molle
1926--Fred Molle, Henry Molle, Wm Scheel, Albert Hardrath
1938--Fred Molle, Albert Hardrath, Wm Scheel, Min Molle
Mid to late 1940's--Molle, A. & L., Molle, E. & D., Molle, H. & L., Scheel, L. & K., Schuette, E. & R.
1956--Henry Molle, Ernest Molle, Fredrick Lulloff, Elmer Schuette, Albert Klemke
1973-- Fredrick & Elizabeth Lulloff, Elmer & Ruth Schuette, Albert & Frieda Klemke, Ernest & Dorothy Molle, Angelo & Shirley Accurso
1981--Fredrick & Elizabeth Lulloff, Elmer & Ruth Schuette, James Blaha, Harlan and Margaret Witt, Darnell & Joyce Schoelzel, Karen Niedzwiecki
1986--Frederick & Elizabeth Lulloff, Harlan & Margaret Witt, Darnell & Janice Schoelzel, Karen Niedzwieski, James Blaha, Elmer & Ruth Schuette, Judith L. Radloff, Bernard Wilke, St. Paul's Lutheran Church
1994--Fredrick N. & Elizabeth Lulloff, William & Jennifer Schuette, James Blaha, Randy A. & Kay M. Rinehart, Darnell H. & Janice M. Schoelzel, Karen N. Niedzwiecki, Gail Hein, Wm. Hein
Section 36
1905--H. Hardrath, J. S. Owen, T. O. Withee, Aug. Conrad1915--Jno. Untiedt, H. & F. Nichoff, D. M. Williams, M. Roeber, Aug. Conrad
1926--Colby State Bank, Albert Augustine, Conrad Fischer, Math. Rober
1938--Colby State Bank, Susanna Neu, Math Rober, The Old Line Life Ins. Co.
Mid to late 1940's--Augustine, A. & E., Roeber, M. & L., Nikolai, T., Untiedt, E. & V.
1956--L. C. Christensen, Ray Pipkorn, Jos. Nikolai, Emil Untiedt
1973--Carol Untiedt, H. K. Christensen, Ray & Dorothy Pipkorn, Joseph & Helen Nikolai
1981--Carol Untiedt, H. K. Christensen, Jr., etal, Joseph & Helen Nikolai, Eugene Pipkorn
1986--Carol J. Untiedt, H. K. Christensen, Eugene Pipkorn, Jerome & Terri Nickolai
1994--Carol J. Untiedt, H. K. Christensen, Jr., etal, Joseph W. and Helen W. Nikolai, Raymond & Theresa M. Sobeck
|
© Every submission is protected by the Digital Millennium Copyright Act of 1998.
Show your appreciation of this freely provided information by not copying it to any other site without our permission.
Become a Clark County History Buff
|
A site created and
maintained by the Clark County History Buffs
Webmasters: Leon Konieczny, Tanya Paschke, Janet & Stan Schwarze, James W. Sternitzky,
|