
Hoard Township
~~Plat Maps~~
Clark County, Wisconsin
Surveying Clark County, WI (1842-1856)
PUBLICATIONS:
Clark County, WI Internet Library Map Collection
County Map (shows all the townships)
1880 Hoard Township Plat Map [E] [W] [Transcription] (In 1880 Hoard was the west half of Mayville Township);
1893 Hoard Township Plat Map--by C. S. Stockwell; Neillsville, WI (Contributed by Alice Braun).
1905 Hoard Township Plat Map--by George. A. Ogle & Co., Chicago, IL (Contributed by Greenwood Public Library).
1915 Hoard Township Plat Map & Supplemental Property Owners--an extremely rare map contributed by the Thorp Area Historical Society (see the transcription below).
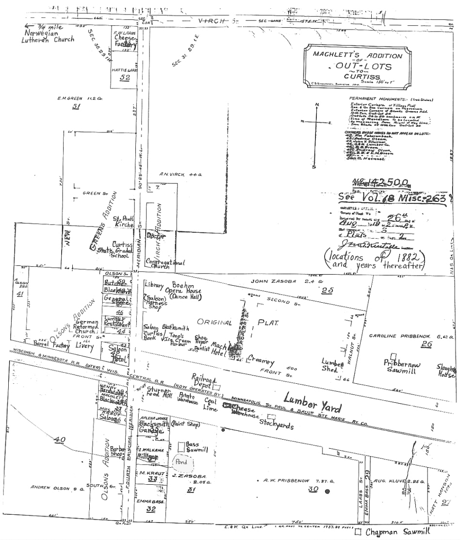
1918 Curtiss Property Map.
1920 Hoard Township Plat Map-origin unknown
1921 Hoard Township Plat Map-origin unknown
1926 Hoard Township Plat Map--by Standard Map Co., Chicago, IL (Contributed by Paulette Strey).
1938 Hoard Township Property Owners--Standard Map Co, Chicago, IL *Can't be displayed because of Copyright restrictions and the date of this map is uncertain but it has been determined to be after 1936, but before 1940; Contributed by Owen Haigh (see the transcription below).
1945 Hoard Township Plat Map--Standard Map Co, Chicago, IL *Can't be displayed because of Copyright restrictions; Contributed by Owen Haigh (see the transcription below).
1956 Hoard Township Plat Map--by Rockford Map Publishers *Can't be displayed because of Copyright restrictions; Contributed by Alice Braun.
PROPERTY OWNERS:
Section 1
1938 Hoard Township Property Owners-- Jno. Sackmann; F. & A. Peissig; C.E. Weber; Peters, Nickel, Haync, et al; C. Sturz; W. Burhsee; F.J. Stange; Jno. Pudleiner; E. Hoffman
1945 Hoard Township Property owners--
1956 Hoard Township Plat Map--Richard Fisse; Carl Fink, Jr.; Fred & Hannah Rahn; Charles & Alice Sturz; Roy & Rosalind Kloving; Hugo Hoffman; Ernest & Adeline Neitzel.
Section 2
1938 Hoard Township Property Owners-- J.B. Thompson est.; Albert Rahn; J.T. Rose; Chas. Sturz; Mary Hoverson; F.J. Stange; Frank Hamm; Caroline Rahn; W. Burhsee
1945 Hoard Township Property owners--
1956 Hoard Township Plat Map--Paul Guerke; Charles Sturz; Henrietta Nichols; Oscar & Hobert Holverson; Reuben & Clara Dittmann; Leslie Struz; Rosalind & Ragwald Kloving; Fred Rahn.
Section 3
1938 Hoard Township Property Owners-- H. Rayment; L.G. Barron; E.M. Green, est.; Jos. Potocnik; T.B. Peterman, Trustee; Louis Laemie; Geo. Ackerman; A.C. & O. Backus
1945 Hoard Township Property owners--
1956 Hoard Township Plat Map-- Minnie Green; H. C. Foster & Ruth Will; Archie & Katherine Ackermann; Mary Ackermann; Aug. Bachus; Jame & Maine Patocnik.
Section 4
1938 Hoard Township Property Owners-- H. Blanke; A. Kop?onikar; John Potochik; Nick Stock; L. Spaul; A.H. Beuchel; Walter Weszowaty; B.J. Wilson
1945 Hoard Township Property owners--
1956 Hoard Township Plat Map--Art Jankee; Anton & Harriet Pietrzen, Victoria Markowski; Edward Potocnik; Rudolph & Hattie Potocnik; James & Vivian Barrett.
Section 5
1938 Hoard Township Property Owners-- Vendel Karoba; J. Stasek; W.H. Frey; H.J. Noblet; J.S. Owen Lum Co.; E.A. Sandstrom
1945 Hoard Township Property owners--
1956 Hoard Township Plat Map--Vendal Karaba; Harold Frey; Sylvester Kovar; Mary Reasy, etal; Walter & Mary Samek; Paul Lampkins, etal.; Owens Lumber Company; Ernest Sandstorm.
Section 6
1938 Hoard Township Property Owners-- Frank M. Council; L.M. Cline; J.S. Owen Lum. Co.; J.W. Council; C. Borkegren
1945 Hoard Township Property owners--
1956 Hoard Township Plat Map--James D. Atchelor; Clark County; Stanley & Phoebe Bartosiak; Harol & Edna Machtan; Flemming Jefferson; Art & Jane Peterson.
Section 7
1938 Hoard Township Property Owners-- P.C. Peterson; D.M. Williams; R. Marks Est.; Art. E. Knuteson; J.S. Owen Lmbr. Co.; Elmer Voightlander; Ed Klug; Aksel Hamalainen
1945 Hoard Township Property owners--
1956 Hoard Township Plat Map--Peter C. Peterson; Lydia & Ernest Marke; Joseph Ackermann; Willie Wilson, etal.; Charles & Bernice Thorne; Edward Klug; Harvey & Ruth Adams.
Section 8
1938 Hoard Township Property Owners-- Owen Lumber Co.; J. Komsi; J. Servaty; Otto Schinke; M. Cline; E.J. Schulze; State Bank of Withee; Mary Boehm; Elmhurst School
1945 Hoard Township Property owners--
1956 Hoard Township Plat Map--Ben & Eliza Holiday; George & Annie Shelton; Walter & Mary Samek; Owen Lumber Company; Inez Goodwin & W. Jones; Herman & M. Gemuenden; Emil & Turner Makinen; Peter & Caroline Kaz.
Section 9
1938 Hoard Township Property Owners-- Wm. Schaefer; J.S. Owen Lmbr. Co.; M. Cutler; F.W. Buss; R. Martin; Olef Williams; Herb. Elroy Schulze; Aug. Schulze
1945 Hoard Township Property owners--
1956 Hoard Township Plat Map--Township of Hoard; Adolph & Wanda Jankee; Rinehold Martin; Arvid & Lillian Heinkkinen; Edwin & Norma Schultz; Eddie & Martha Hoffman; Arthur & Ruth Jankee.
Section 10
1938 Hoard Township Property Owners-- Geo. Ackerman; J.S. Owen Lmbr Co.; Paul Stasek; Ed. Wachsmuth; Otto Bublitz; H. Hanson; G. & A. Fahrer; L.T. Klein
1945 Hoard Township Property owners--
1956 Hoard Township Plat Map--Ralph & Hazel Vickers; Adolph & Wanda Jankee; Virgil & Edna Bublitz; Clarence & Fay Stevens; Richard & Mary Carlson; Tony & Harriet Pietrzen; Mary Ackerman.
Section 11
1938 Hoard Township Property Owners-- F.W. Buss; Jno. Lano; Mary Paul; Ray Smith; P. Vogtlander; L. Voigtlander; Frank Smith; E.A. Hawks; Jno. Burtard; Park School
1945 Hoard Township Property owners--
1956 Hoard Township Plat Map--Clifford Smith; Joe & Lillian Ackermann; Edwin & Gerldine Hamm; Arthur & Signe Brownell; Wilmer & Alice Paul; Allen & Norma Hawkes; Harvey & S. Ebright; Gilbert Burtgard; Eino & Elsie Walkama.
Section 12
1938 Hoard Township Property Owners-- A. Paul; R. Paul; Gust Fisse; A. Klocke; E.A. Hawks; H.C. Hanson; B. Brady; Nelly Ravy
1945 Hoard Township Property owners--
1956 Hoard Township Plat Map--Gust Fisse; Bertha Fritsche; Donovan & Price Ward; Frank & Mildred Hamm; Wilmer & Alice Paul; Allen & Norma Hawkes; Irving & Teresa Goess; Otto Paul.
Section 13
1938 Hoard Township Property Owners-- Chas. Rahn; Irving Goessl; R. Klocke; Harry-Alf Peissig; H.F. Peissig; Henry House; H. House; R. Schoeneman
1945 Hoard Township Property owners--
1956 Hoard Township Plat Map--Reinhardt Klocke; Herbert Gossel; Rudolph & Anna Tauchen; Emil & Thyra Gardell; Harry Peissig; Opal Peissig.
Section 14
1938 Hoard Township Property Owners-- Jno. Burtard; H. Heinzel; M. Williams; Wm. Schultz; Wm. Neitzel; Henry Hanson; Ben Nelander; Farm Sales Mfg. Co.
1945 Hoard Township Property owners--
1956 Hoard Township Plat Map--Oscar & Julia Leckman; William Schultz; Arthur & Alvinia Thieme; Vilas & Clara Luscher; Alfred E. & A. Thieme.
Section 15
1938 Hoard Township Property Owners-- E. Hoffman; E.R. Hoffman; J. Siikarla; C.E. Lehmant and Grace Nicks; J.S. Owen Lmbr. Co.; Jno. Rosenquist; Sol. Telin; Adelia Liberty; M. Koski; ?. Walkama
1945 Hoard Township Property owners--
1956 Hoard Township Plat Map--Edward Hoffman; Edward & Olive SiiKarla; Ervin Horn; Clarence & Fay Stevens; George Shattuck; Frieda Cecil Looker.
Section 16
1938 Hoard Township Property Owners-- S. Laasko; Jno. Heikkenen; J. Rauha; M. Puro; O. Makkanen; M. Mutka; J.O. Burtard; F. Maki; Henry Puro; J.H. Means; Selma Mannikko; H. Miksman
1945 Hoard Township Property owners--
1956 Hoard Township Plat Map--Ray Hamm; John Burtard; Fred & Margaret Hoeper; Penta & Theda Puro; Arnold Lano; Harvey Wilksman; J. H. Means; Voitto & Vilho Mutka; Eldon Dunnow.
Section 17
1938 Hoard Township Property Owners-- C.F. Council
1945 Hoard Township Property owners--
1956 Hoard Township Plat Map--Toivo & Grace Kauio; Eldon C. Dnnow; John & Josephine Rauha; Ray & Betty Kaz; Peter Kaz; Clark County; Pentha Puro; Henry & Margy House.
Section 18
1938 Hoard Township Property Owners-- C.F. Council
1945 Hoard Township Property owners--
1956 Hoard Township Plat Map--Ray Dearth; Myrtle Stark etal.; Clark County.
Section 19
1938 Hoard Township Property Owners-- Jas. B. Barrett; Tobias Riininen; Dairy Belt Land Co.; P. Sormunen; Wm. Durman; Nestor Maki; V. Matilla; Jno. Watson
1945 Hoard Township Property owners--
1956 Hoard Township Plat Map--Thaddeus Gay; James Barrett; James & Lola Barrett; Tobias & Anna Riihinen; Arvo Sormunen; William & Ilene Maki.
Section 20
1938 Hoard Township Property Owners-- J.A. Dearth; G. Marten; A. Kallio; V. Anderson; Mary E. Robinson; Fred Hamm; M. Cleland; Hoard Center School
1945 Hoard Township Property owners--
1956 Hoard Township Plat Map--William & Irene Maki; Clifford Hansen; Fred Hamm; Milford & Bernice Smith; Jennie Bakke, etal.; Toivo & Grace Kalio.
Section 21
1938 Hoard Township Property Owners-- Matt Sorvari; Chas. Jennings; Jack Koski; Anton Peterson; Mary Lulu Cora McGinnis; Jos. - Oscar Hiebsch
1945 Hoard Township Property owners--
1956 Hoard Township Plat Map--Charlie Jennings; Anna Peterson; Harvey & Helen Wilksman; Fred & Margaret Hoeper; H. K. Christiansen; Elroy & Freada Schultz; Voitto & Vilho Mutka.
Section 22
1938 Hoard Township Property Owners-- Herman & Clara Fischer; Wis. Natl. Life Ins. Co.; Gus Dunow; O.W. Schoengarth; Harlow Bowen; Carl Heimerdinger; Theo. Thompson
1945 Hoard Township Property owners--
1956 Hoard Township Plat Map--Harvey & Helen Wilksman; Henry & Virginia Donow; Art & Alvina Thieme; Robert & Helen Weideman.
Section 23
1938 Hoard Township Property Owners-- Gus. Dunow; W.B. Gayken; Otto Dunow; P. Stoker; C.F. Hjermstad(?); Mary Klemm; A. Knight; Felix Schiszik; F. Hrunek; Ole Borgeman Est.; A. Skutak
1945 Hoard Township Property owners--
1956 Hoard Township Plat Map--Henry & Virginia Dunow; Henry & Gust. Dunnow; Harold & Lethia Stowe; George & Irene Lindau; August & Louisa Buchlt; Adam Skutak; Ida Schiszik; William & Laura Steinke; Ben Sczcypioroski; Milo & Milla Lott.
Section 24
1938 Hoard Township Property Owners-- C. Juntinen; ?. Pukkila; H.H. Fiebig; R.B. Schoeneman; H.J. Peissig; F. Lenzer; H. Sorlin; A. Rued; Frank Schiszik; Aug. Ecke
1945 Hoard Township Property owners--
1956 Hoard Township Plat Map--Dexter Carl & A. Sheets; John Pukkilo; Walter & Nita Manglos; H. K. Christensen; Harley & L. German; Agnes Rued; William & Milre Wainscott; Edwin & Marjorie Krause; Lawrence & Edith Ridpath; Sterling & Gwen Ang.
Section 25
1938 Hoard Township Property Owners-- R. Rued; F.L. Buchanan; Frank Tonn; E. Stockmeyer; E. Busch and L. Beach; P.J. Lokken; O. Thompson Est.; F.A. Pudlas
1945 Hoard Township Property owners--
1956 Hoard Township Plat Map--Axel Rued, etal.; Irving Harris; Josie Stockmeyer; Arthur & Lena Tonn; Leora Beach; John Lokken Albert & Helen Rohland; Alfred & Esther Thompson; Josie Stockmeyer.
Section 26
1938 Hoard Township Property Owners-- Soren Lonbakken; Jos. D. Blodgett; C. Gilbertson; H. Kohls; Ole and Art. Thompson; E. Mowery; Ed Peterson; I Erickson; Midway School
1945 Hoard Township Property owners--
1956 Hoard Township Plat Map--Walter & Ruby Delis; Albert Boxrucher; Arthur & Alma Thompson; John & Helen Strausburger; Elmer & Anna Mowery; Ralph & Carl Peterson; Cornell & Ruth Erickson.
Section 27
1938 Hoard Township Property Owners-- Jos. D. Blodgett; M. Hermanson; H. Kohls; E. Mowery; Wolf Kopp; E.M.; Heibsch Bros. - Jos. and Oscar; Agnes Rued; F. Heibsch; E.J. Anderson; J.M. Hansen
1945 Hoard Township Property owners--
1956 Hoard Township Plat Map--Agnes Rued; Law. & Adeline Barfknecht; Ineborg Hansen; Arnold & J. Bakke; Frank Heibsch; Harry Kopp; Ralph Carl Peterson; Elmer & Anna Mowery; Edward & Marie Rucks; H. K. Christensen.
Section 28
1938 Hoard Township Property Owners-- T.B. Peterman; C. Lehtinen; A.E. Stadler; W.C. Carlson; State Bank of Owen; Ferd Hingiss; Anna Miolund
1945 Hoard Township Property owners--
1956 Hoard Township Plat Map--Art Hacker; Norman & Jenny Bakke; Norman Bakke; Marius Moiland; Joe Karaba.
Section 29
1938 Hoard Township Property Owners-- State Bank of Withee; F. Frouert; Walter A. Fritz; Nels Jensen; C.M. Nielsen; Jacob Christensen; Grant Rorey
1945 Hoard Township Property owners--
1956 Hoard Township Plat Map--Caroline Teclaw; Walter & Belle Fritz; Jacob & J. Christensen; John & Margrete Potocnik; Grant Roney.
Section 30
1938 Hoard Townshop Property Owners-- M. Duncan; H. Cass; J.A. Dearth; J.P. Hanson; H.C. Fickes; Goldie Busko; R.M. Nissen
1945 Hoard Township Property owners--
1956 Hoard Township Plat Map--Arne & Lilly Laakso; Clair & Agnes Southworth; Harvey Dearth; Jess Bundesen; Edward & Bernice Potocnik; Agnes Nissen; Lyle & Mathilde Haas.
Section 31
1938 Hoard Township Property Owners-- H.C. Madsen; K.P. Jensen; Jas. Asplin; August Minhardt; Walt Fritz; B(?). Harper; R.C. Powers; Jno. Shaffer; R.C. & E.A. Powers; Clark County Asylum
1945 Hoard Township Property owners--
1956 Hoard Township Plat Map--Elton Fritz; Raymond & Olga Liepke; Walter & Belle Fritz; Clark County; Rueben Powers; Hester Wilker; Elwin Powers.
Section 32
1938 Hoard Township Property Owners-- Walt Fritz; E.J. Fellbaum; C.W. Johnson; Clark County Asylum
1945 Hoard Township Property owners--
1956 Hoard Township Plat Map--Walter & Bell Fritz; Clark County; George Kaduce; Carl Johnson.
Section 33
1938 Hoard Township Property Owners-- Anna M. Miolund; Clark County; M.L. Miolund; Geo. Becken; Bankers Farm Mtge. Co.; Wm. Hingiss; A.B. Mathias
1945 Hoard Township Property owners--
1956 Hoard Township Plat Map--Morris Molund; Anna Peterson; Earl Shigley; Bernhardt Hill; Lloyd & Mable Marvin.
Section 34
1938 Hoard Township Property Owners-- State Bank of Owen; Alb. Bakke; J.S. Jacobson; Bernard Lulloff; Emil Buss; H. Newhaus
1945 Hoard Township Property owners--
1956 Hoard Township Plat Map--Albert Phillips, Arnold & J. Bakke; Bernard Jacobson; Sidney & Kenneth Jacobson; Hy. & H. Neuhaus; Emil Buss; Peter & R. Rizzi; Burnard Lulloff.
Section 35
1938 Hoard Township Property Owners-- Ed. Peterson; Chas. Peterson; M. Klemm; Anna Zenzel est.; W. & H. Newman; C. Smith; J.H. Wolfenden; Neuman Bros.; Fred Thieme; Elmer Schmidt
1945 Hoard Township Property owners--
1956 Hoard Township Plat Map--Mildred & Peter Kozikosk; Walter & Herbert Newman; Sulo & Eliz. Kivikko; Elmer Schmidt; Perry Larson; David Bennett; Rollo & S. Everett; Ralph Carl Peterson.
Section 36
1938 Hoard Township Property Owners-- Laura Erickson; F. Thieme; E. Thieme; A.L. Mathias; H. Laabs; Ana. Olson; C. Klessig; F.H. Mathias; Curtis School
1945 Hoard Township Property owners--
1956 Hoard Township Plat Map--Leland Ehlert; Art. Laabs; Irvin Mengel; Theo & Flor Frane; Emma & Milton Meske; Ralph Peterson
|
© Every submission is protected by the Digital Millennium Copyright Act of 1998.
Show your appreciation of this freely provided information by not copying it to any other site without our permission.
Become a Clark County History Buff
|
A site created and
maintained by the Clark County History Buffs
Webmasters: Leon Konieczny, Tanya Paschke, Janet & Stan Schwarze, James W. Sternitzky,
|